Ever spotted a tiny insect scurrying across your floor that looked suspiciously like a spider but just wasn't quite right? Chances are, you might have encountered a spider beetle. These intriguing little creatures are often mistaken for their eight-legged namesakes due to their rounded bodies and long, slender legs. Understanding what a spider beetle is, where it typically lives, and what it eats can be incredibly helpful. This guide dives deep into the world of these common household invaders, offering clear insights into their identification, habits, and why they might choose your pantry as their next hangout spot. We'll explore everything from their appearance to potential control methods. Stay informed and learn to distinguish these beetles from actual spiders, resolving any pest mysteries you might have encountered.
Hey everyone, have you ever found yourself wondering, 'What is a spider beetle?' It's a common question, and honestly, these little critters can be super confusing. They really do look like tiny spiders, but they are actually beetles. It's easy to mistake them, and I've seen it happen so many times. But knowing the difference is important, especially if you think you might have an unwelcome guest.
Today, we're diving into the fascinating yet sometimes frustrating world of spider beetles. We'll explore what makes them unique and why they often end up in our homes. Honestly, once you know what to look for, you'll be able to spot them pretty easily. Let's resolve some of those pest mysteries you might have.
Meet the Spider Beetle A Closer Look
So, what exactly is a spider beetle? Well, these are small beetles belonging to the Ptinidae family. They get their name because their rounded bodies and long legs make them resemble spiders. It's a clever bit of mimicry, I think. You might encounter several species, but they all share some similar features. They typically range from 1.5 to 4 millimeters in length, so they are quite tiny.
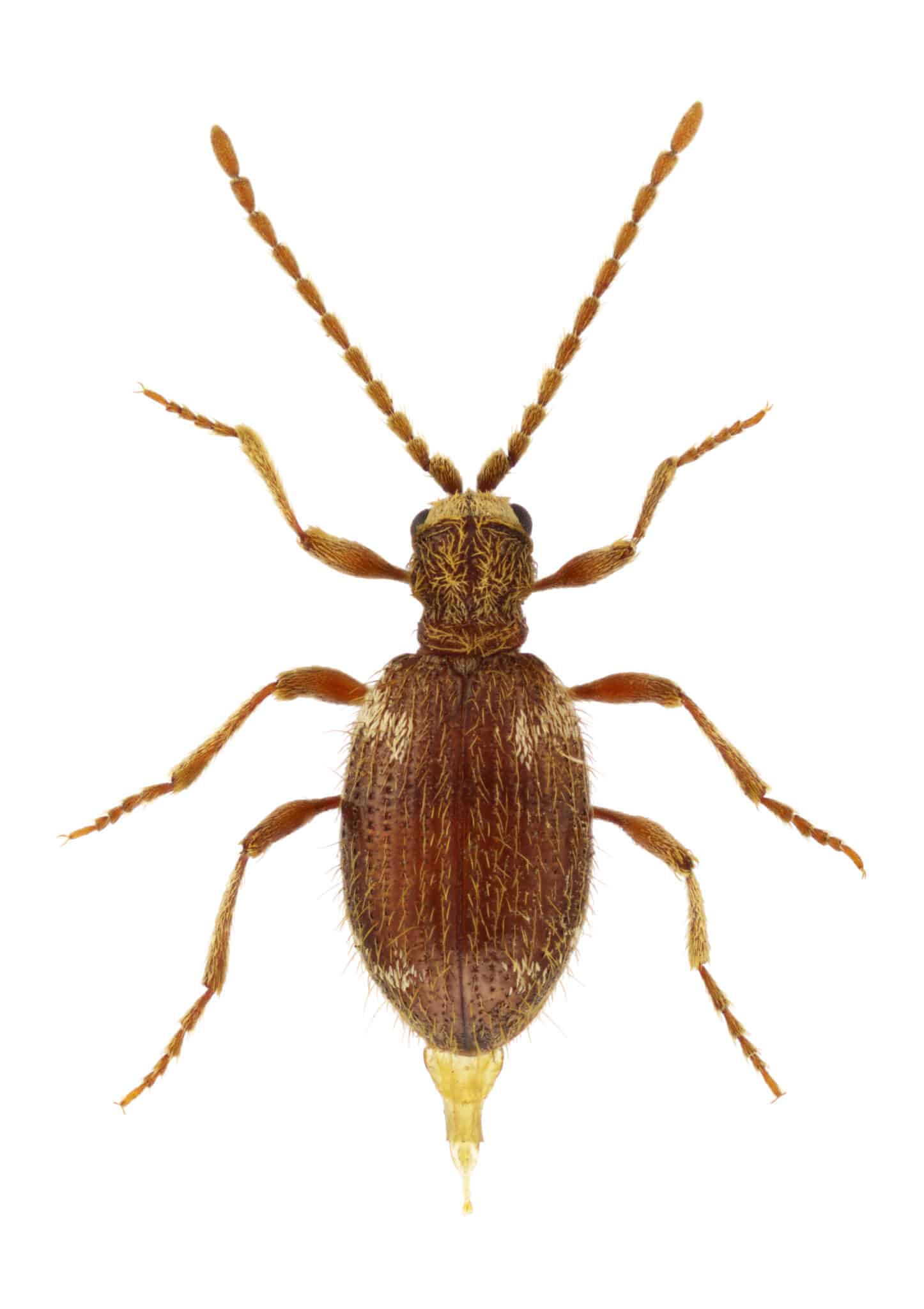
What Do They Look Like Up Close
Spider beetles usually have a shiny, reddish-brown to black color. Their bodies are quite globular or hump-backed, giving them that distinct spider-like appearance. But here's the kicker, spiders have eight legs, and these beetles only have six legs. They also have relatively long antennae, which can sometimes be mistaken for an extra pair of legs. If you look closely, you'll see those antennae waving around. They move pretty slowly, which can also contribute to the confusion with spiders.
Where Do They Live And What Do They Eat
These adaptable insects are found worldwide, and they love stored food products. You might find them in your pantry, kitchen, or even your attic. They're pretty versatile eaters, munching on a wide range of organic materials. This includes things like cereals, flour, dried fruits, pet food, and even spices. Sometimes, they'll even feed on museum specimens or old books. It's kind of wild how varied their diet can be, honestly.
Understanding Spider Beetle Habits
Spider beetles are mostly nocturnal, so you might not see them much during the day. They prefer dark, undisturbed areas, which is why your pantry shelves are prime real estate for them. They go through a complete metamorphosis, including egg, larva, pupa, and adult stages. The larval stage is often the most damaging, as this is when they feed voraciously. Understanding their life cycle helps when trying to resolve an infestation.
Why Are They In My Home
They usually enter homes by hitchhiking in infested food products you bring inside. Sometimes, they can also crawl in through cracks and crevices. Once inside, if they find a suitable food source and a good hiding spot, they'll settle right in. Keeping your pantry clean and your food stored properly is a huge step in prevention. It really makes a difference, I've seen it myself.
Are They Harmful To Humans
Generally, spider beetles are not considered harmful to humans or pets. They don't bite or sting, which is good news. Their main concern is contaminating food products, making them unfit for consumption. Nobody wants to eat food that's been crawling with beetles, right? So while they aren't dangerous, they are definitely a nuisance pest. You really want to get rid of them quickly.
Tips for Resolving a Spider Beetle Problem
- First, thoroughly inspect all your stored food items.
- Dispose of any infested products in a sealed bag immediately.
- Clean pantry shelves and cabinets with soap and water or a vacuum.
- Store new food items in airtight containers to prevent future infestations.
- Consider using pheromone traps to monitor for their presence.
- Seal any cracks or holes in your pantry walls or flooring.
Honestly, dealing with pests can be frustrating, but with a bit of effort, you can definitely get these spider beetles under control. Does that make sense? What exactly are you trying to achieve in terms of pest control?
Spider beetles are small, rounded insects often mistaken for spiders. They have long antennae and legs but only six legs. These beetles are common household pests, feeding on various dried food products. Identifying them involves observing their unique body shape and movement. Effective pest control requires understanding their habits and food sources.
Spider Beetle Australian Spider Beetle Topside Spider Beetle Pest Control And Service Mississauga Pest Spider Beetle The Volkswagen Beetle 2026 Is Back And It Just Changed What An Electric 1 76
What Is A Spider Beetle And What To Do If You See One Spider Beetle On A Bed 300x157 2026 Volkswagen Beetle Returns Modern Retro Design Turbo Engine And HuIt5o 37u0 HD 1024x576 Spider Beetle Radcliffe S IPM World Textbook Krischik Spider Beetle Spider Beetle Bites Gnat Bites Symptoms Causes Treatment And More What Do Spider Beetles Look Like
Spider Beetle Spider Beetle P Spider Beetle Larvae UF IFAS Stored Product Pests Photographs CD ROM Spider Beetles 1024x640 What Is Required For A Full Stack Developer In 2026 An Abstract Bridge Made Of Code And Data Elements Connecting User Interaction To A Database Server. What Is Required For A Full Stack Developer In.webpShiny Spider Beetle 5460357
Who Is The Beetle In Comics Marvel S Spider Man 2 Villain Explained Beetle Spider Man 2 Header 5 Facts About Spider Beetles Ehrlich Pest Control Jcehrlich Image Spider Beetle Zoomed.webpAmerican Spider Beetle American Spider Beetle 2 What Are Carpet Beetles Causes Signs What Are Carpet Beetles Causes Signs.webp
Spider Beetle Pest Information Prevention Tips Spider Beetle Spider Beetle Larvae UF IFAS Stored Product Pests Photographs CD ROM PestGolden Spider Beetle Shiny Spider Beetle Bites What Is The Difference Between A Spider And A Beetle Spider Beetle Animal Facts Ptinidae A Z Animals Spider Beetle Female 1446x2048
Spider Man Brand New Day 2026 V1 Ketahui 10 Jenis Jenis Kumbang Yang Beragam BTaskee Spider Beetle Cigarette Beetle Life Cycle Facts Pictures Australian Spider Beetle Cigarette Beetle Life Cycle Facts Pictures Smooth Spider Beetle
Spider Beetle Vs Bed Bug Larder Beetles Control Treatment Pest Spider Beetle 01 What Is A Spider Beetle And What To Do If You See One Spider Beetle Vs Tick 300x157 Shiny Spider Beetle Spider Beetle What They Are And How To Get Rid Of Them Insight Pest Starred Ground Beetle Calosoma Planicolle 31113094246 Scaled
Spider Beetles Learn About Nature American Spider Beetle Bugs That Look Like Bed Bugs In Louisiana LaJaunie S Pest Control SpiderWhat Is A Spider Beetle And What To Do If You See One Spider Beetle 3 Real Life Examples 768x402 UK Reptile Shows 2025 2026 All The Dates Times Whereabouts 2026 Uk Invert Shows Calendar Guide Frogfather
How To Get Rid Of Spider Beetles Quick And Easy Solutions What S Spider Beetle Ben Spider Beetle Animal Facts Ptinidae A Z Animals Titan Beetle 2 1024x678






















